
BRC Website Home
Quainton Virtual Stockbook
Quainton News Archive - Quainton News No. 19 - Spring 1974
The Wotton Tramway: Rise and Fall Part 6 - Plans for the Railway to Oxford
Photo: |
|
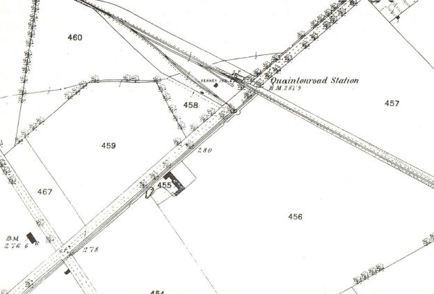
In Part 5, Quainton News, December 1973, reference was made to an early edition of the 1 in 2500 Ordnance Survey map, Bucks sheet 27.4, surveyed in 1879. By kind permission of the British Library the section of this map showing Quainton Road station is reproduced in this issue and it shows the 1868 Aylesbury and Buckingham Railway station and sidings[Note 1]. The end on relationship of the Wotton Tramway is also shown and the turntable which was used for the transfer of wagons working to or from the main line. The photograph below also shows the site of the A & BR station yard but this was a view taken in 1973 from the approach to the existing overbridge. The large area of railway property between the running line and the boundary fence corresponds with the plot of land on the map which bustled with activity as Quainton Road station and yard between 1868 and 1896. Only twelve years after the Wotton Tramway opened for traffic in 1871 an Act was before Parliament proposing a railway, which, if built, would have had far reaching effects on the simple rural character of the Tramway. The Bill was called the Oxford, Aylesbury and Metropolitan Junction Railway Act, 1883 and was passed as 46 and 47 Viet, Ch ccx. Before this scheme is described in more detail it is worthwhile to consider the geographical tactical and economic position of the Aylesbury and Buckingham Railway in relation to its neighbours in the 1870's. Geographically, it was linked with the London and North Western Railway at its northern end at Verney Junction station, while its southerly terminus was an end on connection with the Aylesbury branch of the Wycombe Railway from Princes Risborough. This had been opened as a broad gauge Great Western Railway line into Aylesbury on 1st October 1863. For five years the GWR provided the sole railway service into Aylesbury. Then, on 23rd September 1868 the narrow gauge A & BR from Verney Junction through Quainton Road was opened to Aylesbury and started to use a temporary wooden platform sited to the north of the earlier broad gauge premises. One month later the broad gauge was converted to narrow gauge and a physical connection between the two lines was effected. The temporary station was closed and all trains were concentrated in the joint station. Furthermore, the Great Western started to provide locomotives and carriages for the trains over the A & BR and had we been at Quainton a hundred years ago we would have been excused if we had thought the future of the rail services in the district to be in Paddington's grasp. It was, however, towards the territory which later came under the Metropolitan Railway's orbit that the A & BR were turning. On 16th August 1871 the Directors of the Company, under the Chairmanship of the Duke of Buckingham and the Deputy Chairmanship of Sir Harry Verney, incorporated the London and Aylesbury to connect their A & BR southern terminus with the Watford and Rickmansworth Railway which had been opened under LNWR auspices in 1862. Capital was short and the LNWR were offering financial assistance to build the section as far as Great Missenden when they learnt that the Metropolitan Railway had plans for expansion in the same direction. The Chairman of the Metropolitan Railway from 1872 was Sir Edward Watkin, that fabulous character with a vision of a railway linking Manchester and Paris by a main line to London, the Metropolitan, the South Eastern and the Channel Tunnel. In 1874 Sir Edward became Chairman of the Aylesbury and Buckingham and the potential of the southerly extension of the A & BR became clear to the LNWR. Their unwillingness to support the proposal led to the collapse of the whole scheme and to the resignation of Watkin from the Chair of the A & BR. In the ensuing nine years to 1883 the expansion of the Metropolitan Railway into the country made steady progress. In 1879 the Baker Street line was extended from Swiss Cottage to Willesden Green and there was a grand opening to Harrow on the Hill on 2nd August 1880. In 1880 the plans for the next section, to Rickmansworth, were obtained by the Metropolitan Railway and it did not need a crystal ball to foresee the arrival of Met. trains at Aylesbury within a few years. The unhappy financial plight of the A & BR has been mentioned. The Company were in the hands of a receiver, having lapsed into bankruptcy. The Oxford, Aylesbury & Metropolitan Junction Railway was one possibility of recovery from this situation; a proposition to use the Wotton Tramroad as part of a route to Oxford from the Metropolitan. |
|
|
Notes: Notes: Reference: |
Text © Quainton Railway Society / Photographs © Quainton Railway Society or referenced photographer
Email Webmaster
Page Updated: 28 October 2017